『航空レーザ計測システム』や『ナローマルチビーム音響測深機』を利用して作成した数値モデルより、三次元解析を行うことで、目的・用途に応じた各種解析図を作成することができます。
等高線図・等深線図
標高の表現方法としてはオーソドックスなもので、地形図等の標高表現に使用しています。同じ標高点を結んだ線を等高線といい、海底や湖底等の水域では等深線ともいいます。
等高線図
数値地形モデル(DTM)を用いているため、等高線の間隔を自由に設定することが可能です。
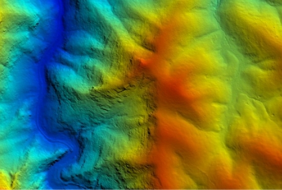
等深線図
ナローマルチビーム音響測深機を用いて作成したダム湖底の等深線図です。陸域の航空レーザ計測データとの合成も可能です。
青(水域):ナローマルチビーム音響測深機で計測 黄(陸域):航空レーザ計測システムで計測
標高段彩図・陰影図
DSMデータやDTMデータから三次元地形モデルを直観的に把握できる表現方法です。
地形起伏図(特許技術)
地形起伏図とは、地形の特徴を分かりやすく表現する手法で、標高の高低差と合わせて微地形の把握が可能となります。水部の属性を利用することで、河川などの水域の表現も可能です。
鳥瞰図
鳥瞰図は、鳥の目線のように上空から斜めに見下ろした表現方法をいいます。
数値データを利用するため、等高線との重ね合わせや、写真画像を張り合わせることも可能です。
地形起伏図の鳥瞰
差分解析
差分解析①
DSMとDEMの2種類のデータを用いて差分解析を行うことで、地物の高さを求めることができます。山間部では樹高を、市街地等では建物高などの把握に利用されます。
式:DSM - DEM = 樹高(建物高)
樹高分布図
差分解析②
計測した時期の異なる2つのDEMデータを用いた差分解析は、地形の変遷把握などに利用されます。また、山間部のDSMの利用で樹木の成長や倒木等の把握に、市街地のDSMでは建物の建築や滅失等の把握調査に利用することができます。
式:DEM(2時期目)- DEM(1時期目)= 変動量
【浸食・堆砂分布図】(イメージ)
変動量が(+)の箇所は、堆砂傾向を示す赤色表示。(-)の箇所は、浸食傾向を示す青色表示。(0)付近の変動量が少ない箇所は緑で表示。
機材・技術
- ヘリコプター搭載型 航空レーザ計測システム『SAKURA』
- 固定翼搭載型 航空レーザ計測システム『SAKURA-FX』
- LaXAX (ナローマルチビーム音響測深機)
- SurveyViewⅡ(測量成果閲覧システム )
- 点群ビューワ Mierre(ミエール)
- 数値地形モデル
利用分野
- 地形図作成
- GISデータ
- 各種主題図
- 各種ハザードマップ
- 縦横断図
- 土砂量調査
- 地形判読
- 断層調査
- 植生調査
- ダム堆砂測量



